낚시를 좋아하는 아버지 덕에 어릴 적부터 가족들끼리 비교적 가까운 서해안이나 실내 낚시터에 종종 가곤 했었다.
물고기가 잡히기 전까지 기다려야 하니 지루하기도 하고 재미가 없을 것 같지만, 그동안 같이 왔을 가족이나 친구, 연인과 이야기를 나누거나 파도치는 바다를 보며 힐링을 하다 보면 어느새 입질이 온다. 그 손맛을 느껴봤다면 낚시의 매력에 빠질 수밖에 없다.
그리고 손맛이라는 게 TV에 나오는 것처럼 비싸고 좋은 낚싯대와 큰 물고기를 낚아야만 느끼는 것이 아니다. 어릴 적 강화도에 놀러 갔다가 낚시를 하고 있던 한 할아버지께서 긴 나뭇가지와 낚싯줄로 낚싯대를 만들어주셨고, 그걸로 망둥이라는 손바닥만 한 물고기를 잡았을 때 느낀 감촉, 느낌은 오랜 시간이 흘러도 기억난다.

서론이 길었는데... 이번에 간 곳은 인천남항부두에 있는 한 선상낚시 업체를 통해 가게 되었다. 예약은 '물반고기반'이라는 어플을 통해서 진행했다. (내돈내산으로 업체에서 받은 것 일절 없음)
업체 대부분이 오전(7시~12시, 5시간), 오후(13시~17시 30분, 4시간 30분), 종일(5시~15시, 10시간)로 상품이 나누어져 있다. 요금은 오전, 오후는 각각 4~5만 원, 종일은 10만 원 정도로 구성되어 있다.
낚싯대와 수동릴(낚시 줄을 당기는 것)은 10,000원에 대여할 수 있고, 미끼는 1인당 5,000원에 구매할 수 있다. 그 외 장갑이나 채비(바늘, 추 등..)은 무료로 제공해 준다. 멀미약도 약국에서 미리 사지 않아도 업체에서 미리 구비해놓은 것이 있다.

배를 타고 인천대교 밑에서 낚시를 진행했다. 다행히 이날 안개가 껴 햇빛이 강하지 않았는데 11시쯤 되니 해가 뜨면서 뜨거워지기 시작했다. 선크림과 모자, 팔 토시 등은 필수다.

낚시 방법은 간단하다. 줄을 풀어 봉돌(추)가 바닥에 닿으면, 1~2바퀴 정도 감아 바늘을 띄어준 뒤 입질이 올 때까지 기다린다.
미끼는 지렁이, 오징어, 루어(모조 미끼)를 사용해 봤으나 오징어에 모두 잡혔고, 옆에서 낚시하던 부부 일행분이 많이 낚으셨는데 새우를 쓰셨다고 했다.
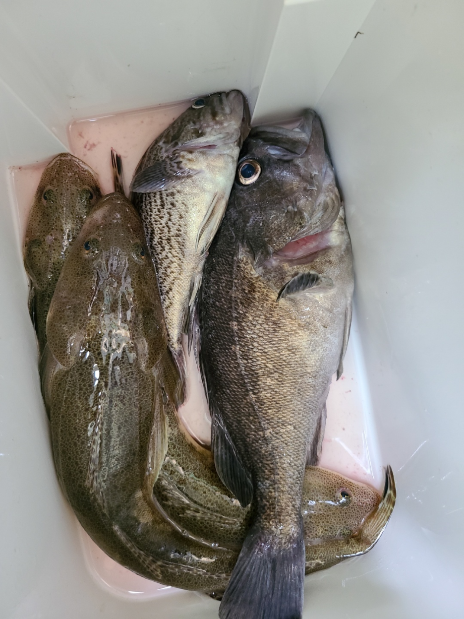
우럭을 처음으로 시작해 매우 큰 양태를 다 잡았다가 빠져서 놓치고...

매우 큰 우럭을 추가로 낚아서 그래도 맛있는 회를 먹을 수 있었고, 누나와 형이 낚은 양태(장대) 2마리로도 맛있는 매운탕을 먹었다. (아빠는... 이보 전진을 위한 일보 후퇴...ㅎㅎ)
물때에 따라 물고기가 많이 잡히는 시기가 있었는데 그걸 모르고 갔다가 잘 안 잡히는 날에 갔다고 한다. 다음에 가게 된다면 1물 시기를 노려봐야겠다.
또 9월부터는 갑오징어와 주꾸미 낚시가 시작된다. 누구나 손쉽게 즐길 수 있고 기다려야 하는 지루한 시간이 짧아 재밌게 할 수 있어 추천한다.

| 성수 팬암(PANAM) 플래그쉽스토어 방문 (0) | 2023.02.22 |
|---|---|
| 국가별 공항 코드, 영문 이니셜(IATA 공항 코드) (0) | 2022.10.25 |
| 불멍 때리기(+가평명지산카라반글램핑) (0) | 2022.09.08 |
| 서울 가볼 만한 곳, 도심 속 자연 보라매공원 (0) | 2022.09.05 |